Terrain à bâtir très exclusif de 2.431 m² à Aalbeke!A vendre

Terrain à bâtir Kortrijk aalbeke

475 000€

En quelques mots

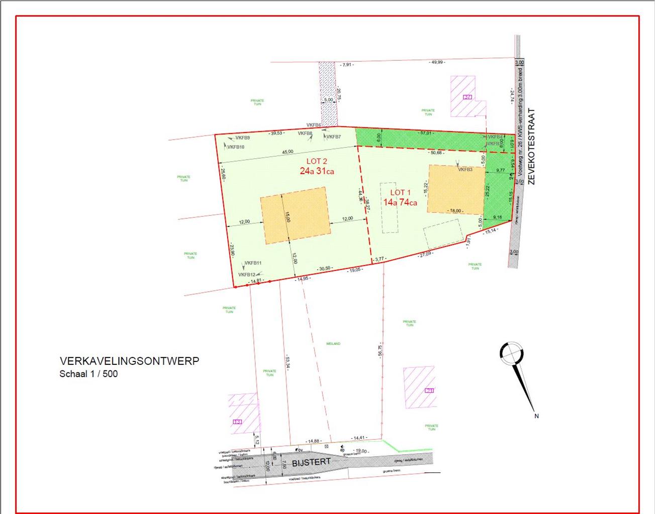
Terrain à bâtir très exclusif, emplacement de 1e ordre.Au bout d`une rue sans issue et à distance de marche du centre d`Aalbeke, nous vous proposons un terrain à bâtir de 2.431 m² avec allée privée.TOP SECTEUR!N`hésitez pas à nous contacter pour obtenir les prescriptions complètes.Publicité à caractère non contractuel et ne constituant pas une offre.Les propriétaires se [..]
Terrain à bâtir très exclusif, emplacement de 1e ordre.

Au bout d`une rue sans issue et à distance de marche du centre d`Aalbeke, nous vous proposons un terrain à bâtir de 2.431 m² avec allée privée.

TOP SECTEUR!

N`hésitez pas à nous contacter pour obtenir les prescriptions complètes.

Publicité à caractère non contractuel et ne constituant pas une offre.
Les propriétaires se réservent le droit de décision, d`acceptation ou non sur toute(s) offre(s) soumise(s) pour leur bien.
Lire plus

Situation

  • Adresse : Kortrijk aalbeke

Détails

  • Ref : 7244277
  • Type : Terrain
  • Prix : 475 000€
  • Etat général : Excellent état
  • Cuisine : équipée
  • Chauffage : pellets

  • Terrain de 2431m2

Energies

  • Conso théorique totale 35127 KwH/an
  • N° cert. 20251112000332
  • Electricité oui, conforme

A proximité

Environnement

campagne, calme

Commodités

Boutiques : oui

Transport en commun : oui

Ecoles : oui

Salle de Sport : -

Autoroute : oui

Orientation

Du jardin : est

Envoyer à un ami

*Aucune information n'est enregistrée sur ce formulaire

  • Immo Emeraude Kortrijk
Agence emeraude

Je veux visiter

Je suis déjà propriétaire d'un bien
Je reconnais avoir pris connaissance de la  politique de confidentialité et des conditions de respect de la Vie Privée

Vos coups de coeur